指南生活
首页
美食营养
手工爱好
生活家居
返回
指南生活
首页
美食营养
游戏数码
手工爱好
生活家居
健康养生
运动户外
职场理财
情感交际
母婴教育
时尚美容
知识问答
生活知识
生活百科
搜索
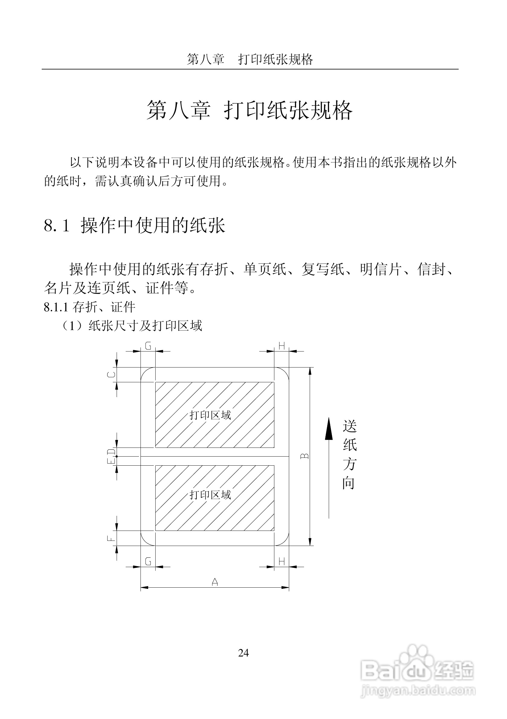
富士通DPK8600票据证件打印机使用说明书:[3]
2026-04-24 10:02:12
本篇为《富士通DPK8600票据证件打印机使用说明书》,主要介绍该产品的使用方法以及常见故障解决方案。
(共篇)
上一篇:
|
下一篇:
声明:
本网站引用、摘录或转载内容仅供网站访问者交流或参考,不代表本站立场,如存在版权或非法内容,请联系站长删除,联系邮箱:site.kefu@qq.com。
相关推荐
名酱三国游戏如何招募武将?
阅读量:82
怎么共享打印机
阅读量:108
XP操作系统设置:[38]打印机共享
阅读量:91
有关Z5400打印机的使用技巧
阅读量:23
更换墨盒的操作步骤
阅读量:102
猜你喜欢
滔滔不绝是什么意思
家用中央空调什么牌子好
怔住的意思
意义的意思
工兵铲什么牌子好
西服什么品牌好
效率的意思
什么是财务报表
出其不意是什么意思
惊心动魄的意思是什么
猜你喜欢
三更半夜的意思
career是什么意思
逊色的意思
近似数是什么意思
四万左右买什么车好
步步为营的意思
过河卒子的意思
quality是什么意思
nicu是什么意思
电脑台式机什么牌子好