指南生活
首页
美食营养
手工爱好
生活家居
返回
指南生活
首页
美食营养
游戏数码
手工爱好
生活家居
健康养生
运动户外
职场理财
情感交际
母婴教育
时尚美容
知识问答
生活知识
生活百科
搜索
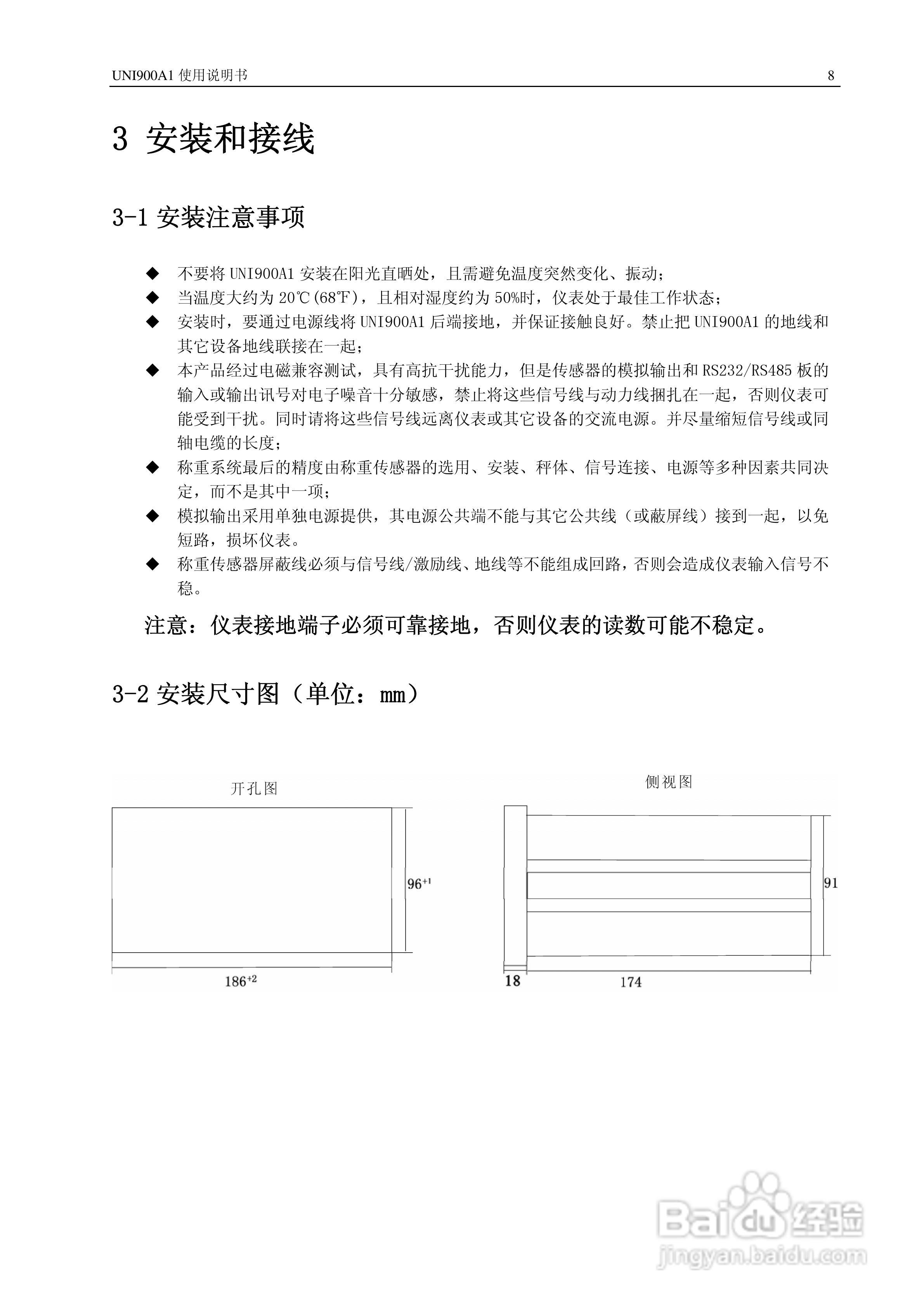
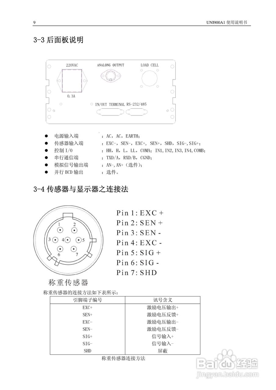
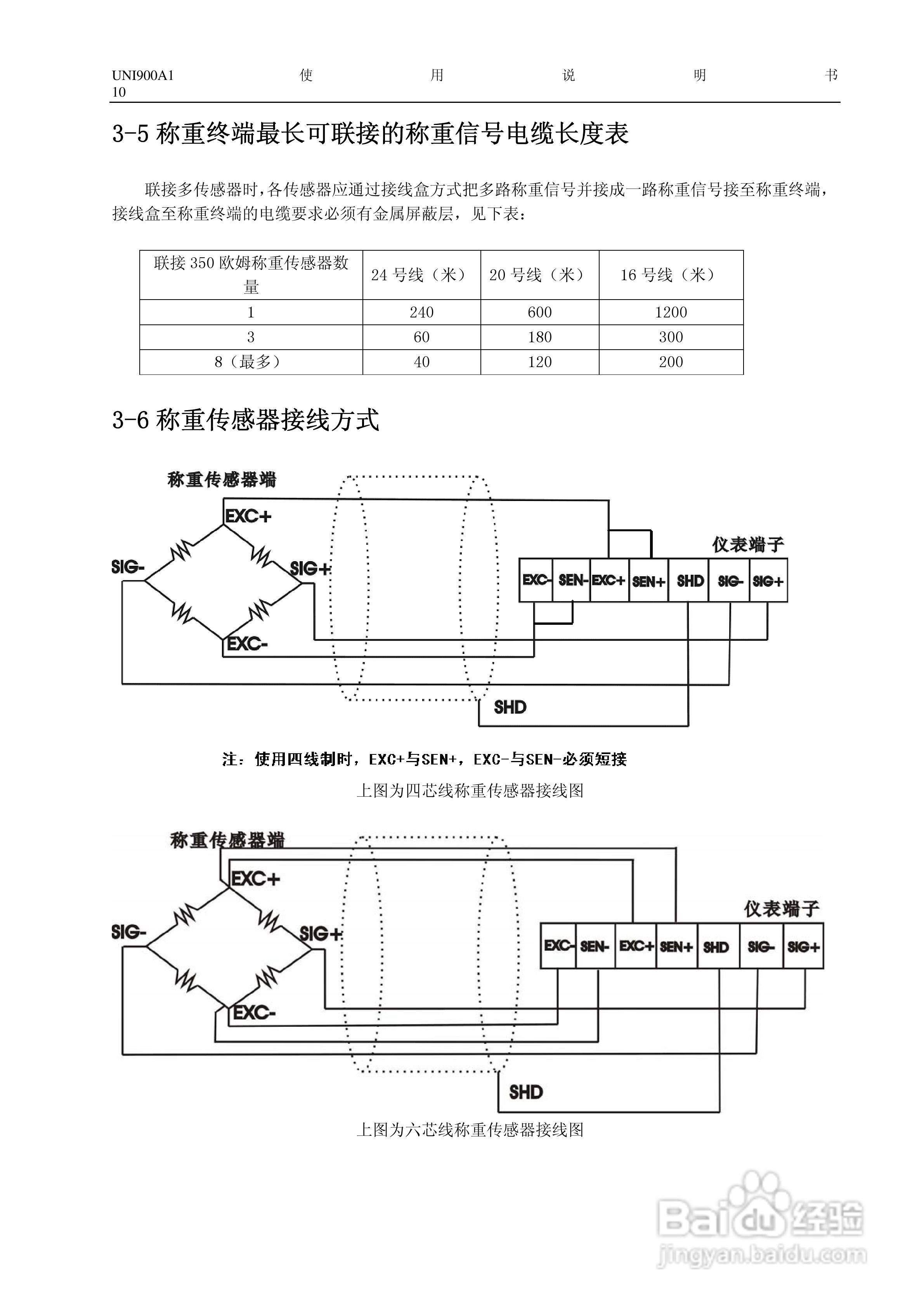
长陆UNI900A1称重显示控制仪使用说明书:[1]
2026-03-29 08:34:29
本篇为《长陆UNI900A1称重显示控制仪使用说明书》,主要介绍该产品的使用方法以及常见故障解决方案。
(共篇)
下一篇:
声明:
本网站引用、摘录或转载内容仅供网站访问者交流或参考,不代表本站立场,如存在版权或非法内容,请联系站长删除,联系邮箱:site.kefu@qq.com。
相关推荐
XSB-1力值显示控制仪使用说明书:[6]
阅读量:90
CGK测功机控制仪使用说明书:[1]
阅读量:161
汇达液位智能无线监测数字显示控制仪说明书:[1]
阅读量:47
使用说明书封面怎么做
阅读量:83
怎样使用温度显示控制仪
阅读量:170
猜你喜欢
白子是什么
七夕是什么节日啊
something是什么意思
太多的借口太多的理由是什么歌
thd是什么意思
什么像什么的句子
practice是什么意思
七月半是什么节日
花青素是什么
生命的意义是什么
猜你喜欢
et是什么
枉然是什么意思
三角形的周长公式是什么
今晚开什么生肖
现在是什么时间
苹果手机vpn是什么
psu是什么意思
乳糖不耐受是什么意思
心里的花我想要带你回家什么歌
慎独是什么意思